Click here to return to top of page
Click here to explore Homesites
Discover The Lake Life!
Fishing     -     Boating     -     Swimming

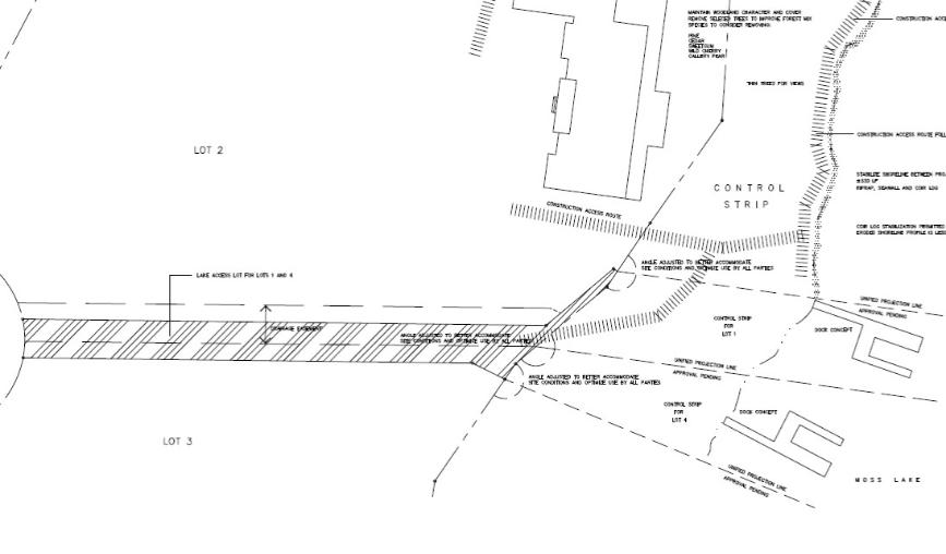
The purchase of Homesites 1 or 4 include deeded lake front access to enjoy your personalized lake front paradise with dock.  See the
site plan above for an overview.  The Lake Access area is located at the end of the cul-de-sac common area.  The property is divided
into 2 - ten foot wide strips approximately 300 feet long.  At the end of your access is a widened area where each Homesite owner may
construct a dock.  Dock construction and lakefront useage is subject to approval by the City of Kings Mountain (Lake Owner).   

The City of Kings Mountain currently offers an annual Family Plan lease of the lakefront (flood control strip) to Homesite owners which
includes dock permit, boat permits and fishing licenses.

The Developer met with the City of Kings Mountain Lake Administrator to review the above site plan and it was approved as presented.  
The plan has been submitted to the NC Department of Natural Resources and final approval has been received.
What is Lake Access?
Your name:
Your email address:
Your phone number:
Question or Comments:
Have a question or comment for the Developer?
JD Lookadoo, Jr Developer
Lake Access For Homesite 1
Lake Access For Homesite 4
Homesite 1 Lakefrontage
Homesite 4 Lakefrontage
Homesite 2
Homesite 3
<--- End of cul-de-sac
Architects Shoreline Plan